湖南食品药品职业学院中药学院在开展乡村振兴暑期“三下乡”活动之余,对益仁堂中药饮片厂和石门县天门垭村当地村民的白芨种植基地进行了参观。
在益仁堂中药饮片厂,大家先后参观了拣选区、筛选区、洗润区、切制区等主要区域。参观过程中,工作人员为我们介绍了相关的工作流程及工作要求等,大家的学习热情也空前高涨,尤其是在参观药材成品仓库时,大家纷纷对中药材进行辨认、讨论,结合实际情况提出了相应问题,并积极讨论。本次参观,大家受益匪浅,收获颇丰,不仅开阔了眼界,拓展了思路,增加了实践知识,更是增加了对学习中药的兴趣和信心。


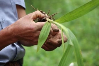
在天门垭村当地村民的白芨种植基地,大家近距离观察到了白芨,并提出了一系列与之相关的问题,了解了其功效、入药部位、种植条件等,以及对其的园林、经济价值发出声声感叹,也不由想到,如能运用当地得天独厚的自然环境,种植白芨等中药材,带动当地产业转型升级,成为激发当地村民致富的内生动力,成为实现乡村振兴的新“引擎”。


青年兴则国家兴,青年强则国家强。青年一代有理想、有本领、有担当,国家就有前途,民族就有希望。两场参观活动,进一步增强了中药学院志愿者对所学专业的兴趣及信心,也坚定了要积极弘扬并将我国的中医药发扬光大的决心。